关键词: 超前探测;随掘地震波法;随掘电法;联合应用
1、引言
煤矿井下掘进过程中,断层、陷落柱等地质构造是诱发瓦斯突出、突水、冒顶等灾害的主要原因。随掘超前探测技术通过实时动态监测,可在掘进过程中提前识别地质风险。地震波法和电法作为井下物探的核心方法,具有互补性,地震波法擅长长距离、高分辨率构造探测,电法则对低阻异常体敏感,二者结合可有效提升含导水地质构造的探测准确性。
同时在掘进迎头后方煤帮布置地震、电法接收系统,采用随掘随探方式进行电法及震波超前探查,可实现随掘巷道迎头前方水文及地质构造发育情况的实时探查、解释,动态预测预报,实现探掘平行、减人提效和提高物探智能化水平。
2、技术原理与方法
2.1掘进随掘地震超前探测技术
全断面掘进机(TBM)在破岩过程中,滚刀与岩石的相互作用是产生地震波的核心机制。当TBM的刀盘旋转时,滚刀对岩石施加持续的压力和剪切力,导致岩石内部应力的集中与释放,从而形成应力波。这种应力波以纵波(P波)、横波(S波)和面波(如瑞利波)的形式传播,并在不同地质介质中表现出显著的差异。纵波作为最先到达的波型,其传播速度最快,能够在固体、液体和气体中传播,主要反映岩石的压缩性质;横波次之,仅能在固体介质中传播,体现岩石的剪切特性;而面波则沿地表传播,能量衰减较慢,对近地表地质结构具有较高的敏感性。这些波型的分类及其特点为随掘地震超前探测技术提供了理论基础,通过分析不同类型波的特征,可以反演掘进前方的地质构造信息。
2.2 电法技术原理
随掘电法技术是一种利用岩石电学性质差异进行地质探测的重要方法,其核心原理在于不同岩石在电阻率、极化率等电学参数上的显著差异。例如,含水层通常表现为低电阻率特征,而高阻体则可能与致密岩石或不含水地层相关。在煤矿巷道掘进过程中,通过测量电极间电位差的变化,可以推断掘进前方地质体的电学性质分布,从而识别潜在的地质异常区域。这种基于电学性质差异的探测方法不仅具有较高的灵敏度,还能够在一定程度上克服传统地震波法在复杂地质条件下的局限性。
3、现场应用与案例分析
3. 1应用流程

图3-1 技术路线图
案例1:某矿断层揭露实例
根据2024年9月19日随掘地震偏移结果,在迎头前方33m形成偏移高能量区,编号为异常区,随后在至2024年9月21日的随掘地震偏移结果平面图中,异常区范围一直稳定分布在里程835~840m段。
根据随掘电法探测成果,迎头前往探测范围整体视电阻率较高,无低于30Ω•m的相对低阻区,探测区无富水异常。
根据巷道掘进实际揭露结果,2024年9月23日,巷道实际在里程841m处揭露断层XZH-1(42°∠50-70°H=4.5m)。

图3-2a 2024年9月19日随掘地震偏移结果平面图

图3-2b 2024年9月21日随掘地震偏移结果平面图
图3-2 2024年9月19日至9月21日随掘地震偏移结果平面图

图3-3a 2024年9月19日随掘电法探测结果平面图

图3-3b 2024年9月20日随掘电法探测结果平面图

图3-3c 2024年9月21日随掘电法探测结果平面图
图3-3 2024年9月19日至9月21日随掘电法探测成果图
表3-1 异常区验证情况表
提交报告时间:2024-09-21
探测地点:新增东翼主要回风大巷
探测目的:巷道迎头前方水文及地质构造发育情况
探测结论:根据随掘地震探测成果,新增东翼主要回风大巷里程835~840m段存在相对较强反射界面,推断此处有断层构造。根据随掘电法探测成果,迎头前往探测范围整体视电阻率较高,无低于30Ω•m的相对低阻区,探测区无富水异常。
巷道验证:巷道掘进里程841m处揭露XZH-1断层,且该区域顶板岩性破碎,岩层内裂隙较为发育,断层不含导水。

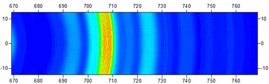
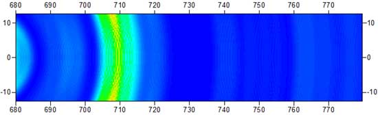
根据2024年10月31日随掘地震偏移结果,在迎头前方37m形成偏移高能量区,编号为异常区,随后在至2024年11月4日的随掘地震偏移结果平面图中,异常区范围一直稳定分布在里程705.6~715.6m段。
根据随掘电法探测成果,迎头前往探测范围整体视电阻率较高,无低于30Ω•m的相对低阻区,随掘电法未解释富水性异常区。
根据巷道掘进实际揭露结果,2024年11月13日,巷道实际在里程715.3m揭露断层QSF105(80°∠65°H=12m)。
异常实际揭露位置与预报位置吻合。

图3-4 a 2024年10月31随掘地震偏移结果平面图

图3-4 b 2024年11月2随掘地震偏移结果平面图

图3-4c 2024年11月4日随掘地震偏移结果平面图
图3-4 2024年10月31日至11月4日随掘地震偏移结果平面图

图3-5a 2024年10月31随掘电法探测结果平面图

图3-5b 2024年11月2日随掘电法探测结果平面图

图3-5c 2024年11月4日随掘电法探测结果平面图
图3-5 2024年10月31日至11月4日随掘电法探测成果图
表3-2 异常区验证情况表
提交报告时间:2024-11.4
探测地点:Ⅱ北一采区瓦斯鉴定巷
探测目的:巷道迎头前方水文及地质构造发育情况
探测结论:根据随掘地震探测成果,Ⅱ北一采区瓦斯鉴定巷里程705.6~715.6m段存在相对较强反射界面,推断此处有断层构造。根据随掘电法探测成果,迎头前方探测范围内整体视电阻率值较高,无低于30Ω•m的相对低阻区,随掘电法未解释富水性异常区。
巷道验证:巷道掘进在里程715.3m处揭露QSF105 断层,且该区域顶板岩性破碎,岩层内裂隙较为发育,断层不含导水。

随掘地震超前探测中,地震波法与电法的联合使用能够有效应对复杂地质条件,提升预测准确性。地震波法提供构造宏观轮廓,电法精确定位低阻异常体,二者互补显著降低了单一方法的局限性。



下一篇